Quercus petraea subsp. iberica (Steven ex M. Bieb.) Krassiln. (syn. Quercus polycarpa Schur)

Taxonomy: Fam. Fagaceae// Genus: Quercus// Species: Quercus petraea (Matt.) Liebl.// Subspecies: Quercus petraea subsp. iberica (Steven ex M. Bieb.) Krassiln.

Determined according to the botanical key provided by Micevski (1993) and Schwarz in Tutin et al. (1964) as Quercus polycarpa Schur. in The Euro+Med PlantBase (source: World Checklist of Selected Plant Families, 2010) this taxon is considered a synonym of Quercus petraea subsp. iberica (Steven ex M. Bieb.) Krassiln.

Lifeform: Perennial, tree; Mesophanerophyte according to the Raunkiær system.

Distribution: Native from Slovakia to Balkan Peninsula, Krym, Turkey to Iran according to the distribution information provided by the Plants of the World Online portal (Royal Botanic Gardens, Kew).

Habitat: Oak forests, at lower altitudes of the oak forests belt – c. 700 to 900 m altitude.

Flowering period: Spring: APR, MAY.

Quercus petraea subsp. iberica – habit in flowering stage. Osogovo – village of Rajchani region, 22.04.2023. Photo by Trajche Dimitrovski.
Quercus petraea subsp. iberica – male infloresences. Osogovo – village of Rajchani region, 22.04.2023. Photo by Trajche Dimitrovski.
Quercus petraea subsp. iberica – male infloresences. Osogovo – village of Rajchani region, 22.04.2023. Photo by Trajche Dimitrovski.
Quercus petraea subsp. iberica – male flowers. Osogovo – village of Rajchani region, 22.04.2023. Photo by Trajche Dimitrovski.
Quercus petraea subsp. iberica – male flowers. Osogovo – village of Rajchani region, 22.04.2023. Photo by Trajche Dimitrovski.
Quercus petraea subsp. iberica – male flowers. Osogovo – village of Rajchani region, 22.04.2023. Photo by Trajche Dimitrovski.
Quercus petraea subsp. iberica – young twig with female flowers and developing leaves. Osogovo – village of Rajchani region, 22.04.2023. Photo by Trajche Dimitrovski.
Quercus petraea subsp. iberica – male flowers. Osogovo – village of Rajchani region, 22.04.2023. Photo by Trajche Dimitrovski.
Quercus petraea subsp. iberica – young twig with female flowers and developing leaves. Osogovo – village of Rajchani region, 22.04.2023. Photo by Trajche Dimitrovski.
Quercus petraea subsp. iberica – young twig with female flowers and developing leaves. Osogovo – village of Rajchani region, 22.04.2023. Photo by Trajche Dimitrovski.
Quercus petraea subsp. iberica – female frowers. Osogovo – village of Rajchani region, 22.04.2023. Photo by Trajche Dimitrovski.
Quercus petraea subsp. iberica – young leaves. Osogovo – village of Rajchani region, 22.04.2023. Photo by Trajche Dimitrovski.
Quercus petraea subsp. iberica – young leaves. Osogovo – village of Rajchani region, 22.04.2023. Photo by Trajche Dimitrovski.
Quercus petraea subsp. iberica – young leaves. Osogovo – village of Rajchani region, 22.04.2023. Photo by Trajche Dimitrovski.
Quercus petraea subsp. iberica – adaxial side of young leaf. Osogovo – village of Rajchani region, 22.04.2023. Photo by Trajche Dimitrovski.
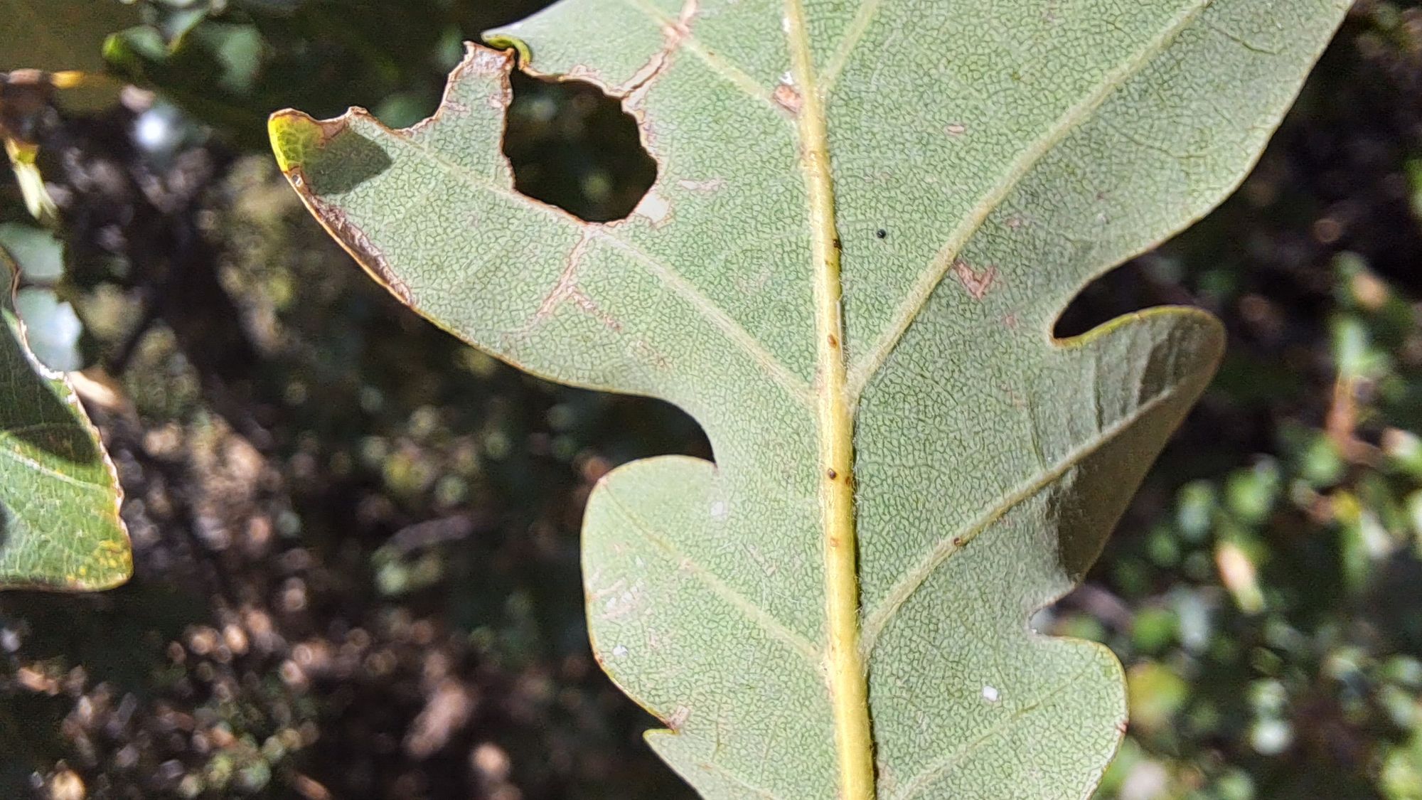
Quercus petraea subsp. iberica – abaxial side of young leaf. Osogovo – village of Rajchani region, 22.04.2023. Photo by Trajche Dimitrovski.
Quercus petraea subsp. iberica – habit. Osogovo – village of Rajchani region, 07.10.2023. Photo by Trajche Dimitrovski.
Quercus petraea subsp. iberica – habit. Osogovo – village of Rajchani region, 07.10.2023. Photo by Trajche Dimitrovski.
Quercus petraea subsp. iberica – branch with leaves and fruits. Osogovo – village of Rajchani region, 07.10.2023. Photo by Trajche Dimitrovski.
Quercus petraea subsp. iberica – branch with leaves and fruits. Osogovo – village of Rajchani region, 07.10.2023. Photo by Trajche Dimitrovski.
Quercus petraea subsp. iberica – branch with leaves and fruits. Osogovo – village of Rajchani region, 07.10.2023. Photo by Trajche Dimitrovski.
Quercus petraea subsp. iberica – fruits. Osogovo – village of Rajchani region, 07.10.2023. Photo by Trajche Dimitrovski.
Quercus petraea subsp. iberica – branch with leaves and fruit. Osogovo – village of Rajchani region, 07.10.2023. Photo by Trajche Dimitrovski.
Quercus petraea subsp. iberica – fruits. Osogovo – village of Rajchani region, 07.10.2023. Photo by Trajche Dimitrovski.
Quercus petraea subsp. iberica – fruit and involucre with tuberculate scales. Osogovo – village of Rajchani region, 07.10.2023. Photo by Trajche Dimitrovski.
Quercus petraea subsp. iberica – fruit and involucre with tuberculate scales. Osogovo – village of Rajchani region, 07.10.2023. Photo by Trajche Dimitrovski.
Quercus petraea subsp. iberica – fruit and involucre with tuberculate scales. Osogovo – village of Rajchani region, 07.10.2023. Photo by Trajche Dimitrovski.
Quercus petraea subsp. iberica – fruit and involucre with tuberculate scales. Osogovo – village of Rajchani region, 07.10.2023. Photo by Trajche Dimitrovski.
Quercus petraea subsp. iberica – fruit and involucre with tuberculate scales. Osogovo – village of Rajchani region, 07.10.2023. Photo by Trajche Dimitrovski.
Quercus petraea subsp. iberica – fruit and involucre with tuberculate scales. Osogovo – village of Rajchani region, 07.10.2023. Photo by Trajche Dimitrovski.
Quercus petraea subsp. iberica – fruit and involucre with tuberculate scales. Osogovo – village of Rajchani region, 07.10.2023. Photo by Trajche Dimitrovski.
Quercus petraea subsp. iberica – involucre with tuberculate scales. Osogovo – village of Rajchani region, 07.10.2023. Photo by Trajche Dimitrovski.
Quercus petraea subsp. iberica – leaves. Osogovo – village of Rajchani region, 07.10.2023. Photo by Trajche Dimitrovski.
Quercus petraea subsp. iberica – leaves. Osogovo – village of Rajchani region, 07.10.2023. Photo by Trajche Dimitrovski.
Quercus petraea subsp. iberica – leaves. Osogovo – village of Rajchani region, 07.10.2023. Photo by Trajche Dimitrovski.
Quercus petraea subsp. iberica – leaf. Osogovo – village of Rajchani region, 07.10.2023. Photo by Trajche Dimitrovski.
Quercus petraea subsp. iberica – abaxial side of leaf. Osogovo – village of Rajchani region, 07.10.2023. Photo by Trajche Dimitrovski.
Quercus petraea subsp. iberica – adaxial side of leaf. Osogovo – village of Rajchani region, 07.10.2023. Photo by Trajche Dimitrovski.
Quercus petraea subsp. iberica – abaxial side of leaf. Osogovo – village of Rajchani region, 07.10.2023. Photo by Trajche Dimitrovski.
Quercus petraea subsp. iberica – abaxial side of leaf. Osogovo – village of Rajchani region, 07.10.2023. Photo by Trajche Dimitrovski.
Quercus petraea subsp. iberica – twig with buds; leaf petioles. Osogovo – village of Rajchani region, 07.10.2023. Photo by Trajche Dimitrovski.
Quercus petraea subsp. iberica – twig with buds; leaf petioles. Osogovo – village of Rajchani region, 07.10.2023. Photo by Trajche Dimitrovski..
Quercus petraea subsp. iberica – twig with buds; leaf petioles. Osogovo – village of Rajchani region, 07.10.2023. Photo by Trajche Dimitrovski.
Quercus petraea subsp. iberica – twig. Osogovo – village of Rajchani region, 07.10.2023. Photo by Trajche Dimitrovski.
Quercus petraea subsp. iberica – branches. Osogovo – village of Rajchani region, 07.10.2023. Photo by Trajche Dimitrovski.
Quercus petraea subsp. iberica – trunk and branches. Osogovo – village of Rajchani region, 07.10.2023. Photo by Trajche Dimitrovski.
Quercus petraea subsp. iberica – trunk. Osogovo – village of Rajchani region, 07.10.2023. Photo by Trajche Dimitrovski.
Quercus petraea subsp. iberica – habit. Osogovo, mountain ridge between “Kochanska” River and “Orizarska” River, 19.09.2021. Photo by Trajche Dimitrovski.
Quercus petraea subsp. iberica – habit. Osogovo, mountain ridge between “Kochanska” River and “Orizarska” River, 19.09.2021. Photo by Trajche Dimitrovski.
Quercus petraea subsp. iberica – habit. Osogovo, mountain ridge between “Kochanska” River and “Orizarska” River, 19.09.2021. Photo by Trajche Dimitrovski.
Quercus petraea subsp. iberica – crown with branches. Osogovo, mountain ridge between “Kochanska” River and “Orizarska” River, 19.09.2021. Photo by Trajche Dimitrovski.
Quercus petraea subsp. iberica – branches. Osogovo, mountain ridge between “Kochanska” River and “Orizarska” River, 19.09.2021. Photo by Trajche Dimitrovski.
Quercus petraea subsp. iberica – branches with fruits. Osogovo, mountain ridge between “Kochanska” River and “Orizarska” River, 19.09.2021. Photo by Trajche Dimitrovski.
Quercus petraea subsp. iberica – branches with fruits. Osogovo, mountain ridge between “Kochanska” River and “Orizarska” River, 19.09.2021. Photo by Trajche Dimitrovski.
Quercus petraea subsp. iberica –branch with fruits. Osogovo, mountain ridge between “Kochanska” River and “Orizarska” River, 19.09.2021. Photo by Trajche Dimitrovski.
Quercus petraea subsp. iberica –branch with fruits. Osogovo, mountain ridge between “Kochanska” River and “Orizarska” River, 19.09.2021. Photo by Trajche Dimitrovski.
Quercus petraea subsp. iberica – branch with fruits. Osogovo, mountain ridge between “Kochanska” River and “Orizarska” River, 19.09.2021. Photo by Trajche Dimitrovski.
Quercus petraea subsp. iberica – fruits. Osogovo, mountain ridge between “Kochanska” River and “Orizarska” River, 19.09.2021. Photo by Trajche Dimitrovski.
Quercus petraea subsp. iberica – fruits. Osogovo, mountain ridge between “Kochanska” River and “Orizarska” River, 19.09.2021. Photo by Trajche Dimitrovski.
Quercus petraea subsp. iberica – fruits. Osogovo, mountain ridge between “Kochanska” River and “Orizarska” River, 19.09.2021. Photo by Trajche Dimitrovski.
Quercus petraea subsp. iberica – fruits. Osogovo, mountain ridge between “Kochanska” River and “Orizarska” River, 19.09.2021. Photo by Trajche Dimitrovski.
Quercus petraea subsp. iberica – fruits. Osogovo, mountain ridge between “Kochanska” River and “Orizarska” River, 19.09.2021. Photo by Trajche Dimitrovski.
Quercus petraea subsp. iberica – fruits. Osogovo, mountain ridge between “Kochanska” River and “Orizarska” River, 19.09.2021. Photo by Trajche Dimitrovski.
Quercus petraea subsp. iberica – fruits. Osogovo, mountain ridge between “Kochanska” River and “Orizarska” River, 19.09.2021. Photo by Trajche Dimitrovski.
Quercus petraea subsp. iberica – fruits. Osogovo, mountain ridge between “Kochanska” River and “Orizarska” River, 19.09.2021. Photo by Trajche Dimitrovski.
Quercus petraea subsp. iberica – twig with leaves. Osogovo, mountain ridge between “Kochanska” River and “Orizarska” River, 19.09.2021. Photo by Trajche Dimitrovski.
Quercus petraea subsp. iberica – twig with leaves. Osogovo, mountain ridge between “Kochanska” River and “Orizarska” River, 19.09.2021. Photo by Trajche Dimitrovski.
Quercus petraea subsp. iberica – twig with leaves. Osogovo, mountain ridge between “Kochanska” River and “Orizarska” River, 19.09.2021. Photo by Trajche Dimitrovski.
Quercus petraea subsp. iberica – leaves. Osogovo, mountain ridge between “Kochanska” River and “Orizarska” River, 19.09.2021. Photo by Trajche Dimitrovski.
Quercus petraea subsp. iberica –leaf. Osogovo, mountain ridge between “Kochanska” River and “Orizarska” River, 19.09.2021. Photo by Trajche Dimitrovski.
Quercus petraea subsp. iberica – abaxial side of leaf. Osogovo, mountain ridge between “Kochanska” River and “Orizarska” River, 19.09.2021. Photo by Trajche Dimitrovski.
Quercus petraea subsp. iberica – abaxial side of leaf. Osogovo, mountain ridge between “Kochanska” River and “Orizarska” River, 19.09.2021. Photo by Trajche Dimitrovski.
Quercus petraea subsp. iberica – twig, leaf petiole and abaxial side of leaf. Osogovo, mountain ridge between “Kochanska” River and “Orizarska” River, 19.09.2021. Photo by Trajche Dimitrovski.
Quercus petraea subsp. iberica –twig with buds. Osogovo, mountain ridge between “Kochanska” River and “Orizarska” River, 19.09.2021. Photo by Trajche Dimitrovski.
Quercus petraea subsp. iberica –twig with buds. Osogovo, mountain ridge between “Kochanska” River and “Orizarska” River, 19.09.2021. Photo by Trajche Dimitrovski.
Quercus petraea subsp. iberica –twig with buds. Osogovo, mountain ridge between “Kochanska” River and “Orizarska” River, 19.09.2021. Photo by Trajche Dimitrovski.

References:

Quercus L. Micevski, K. (1993). The Flora of the Republic of Macedonia Vol. 1, Book 2. Macedonian Academy of Sciences and Arts, pp. 196 – 207.

Quercus L. Schwarz, O. in Tutin, T.G., Heywood, V.H., Burges, N.A., Moore, D.M., Valentine, D.H., Walters, S.M., & Webb, D.A. (1964). Flora Europaea. Volume 1. Lycopodiaceae to Platanaceae. Cambridge: Cambridge University Press, pp. 61 – 64.

Quercus petraea subsp. iberica. The Euro+Med PlantBase. Source: 2010: World Checklist of Selected Plant Families (2010), copyright © The Board of Trustees of the Royal Botanic Gardens, Kew. Published at https://europlusmed.org/cdm_dataportal/taxon/74b59037-d700-4558-93dc-c3162b2bf873 [Accessed 04.02.2025].

Quercus petraea subsp. polycarpa (Schur) Soó. Plants of the World Online portal, Royal Botanic Gardens, Kew. http://www.plantsoftheworldonline.org/taxon/urn:lsid:ipni.org:names:77190088-1 [Accessed 23.09.2021].

Last update: 04.02.2025.