Determined according to the botanical keys provided by Tutin in Tutin at al. (1968) and Micevski and Matevski in Micevski (2005).
Lifeform: Perrenial, shrub c. 1 to 3 m tall; nanophanerophyte to microphanerophyte according to the Raunkiaer system.
Distribution: Native from Central and East Europe to Italy and Iran; Qinghai (China) to Primorye (Russia – Far East region) and Japan according to the distribution information provided by the Plants of the World Online portal (Royal Botanic Gardens, Kew).
Habitat: Oak forests.
Flowering period: Late spring – early summer: MAY, JUN.
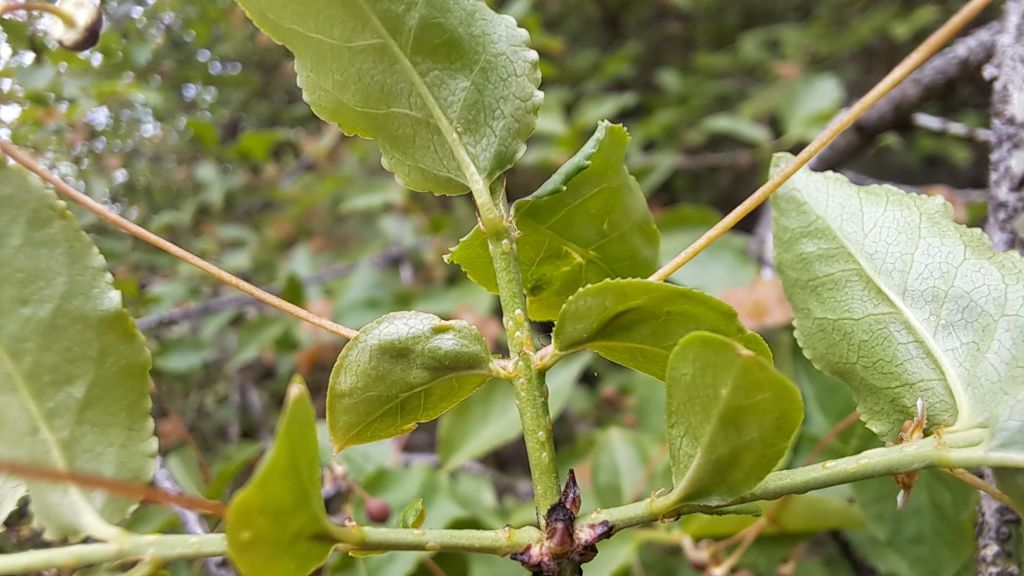
Euonymus verrucosus – habit. Osogovo – “Shtalkovichka” River near village of Shtalkovica, 13.04.2024. Photo by Trajche Dimitrovski.Euonymus verrucosus – habit. Osogovo – “Shtalkovichka” River near village of Shtalkovica, 13.04.2024. Photo by Trajche Dimitrovski.Euonymus verrucosus – flowering branches. Osogovo – “Shtalkovichka” River near village of Shtalkovica, 13.04.2024. Photo by Trajche Dimitrovski.Euonymus verrucosus – flowering branches. Osogovo – “Shtalkovichka” River near village of Shtalkovica, 13.04.2024. Photo by Trajche Dimitrovski.Euonymus verrucosus – flowering branch. Osogovo – “Shtalkovichka” River near village of Shtalkovica, 13.04.2024. Photo by Trajche Dimitrovski.Euonymus verrucosus – flowering branch. Osogovo – “Shtalkovichka” River near village of Shtalkovica, 13.04.2024. Photo by Trajche Dimitrovski.Euonymus verrucosus – branch with inflorescences. Osogovo – “Shtalkovichka” River near village of Shtalkovica, 13.04.2024. Photo by Trajche Dimitrovski.Euonymus verrucosus – branch with inflorescences. Osogovo – “Shtalkovichka” River near village of Shtalkovica, 13.04.2024. Photo by Trajche Dimitrovski.Euonymus verrucosus – flower. Osogovo – “Shtalkovichka” River near village of Shtalkovica, 13.04.2024. Photo by Trajche Dimitrovski.Euonymus verrucosus – flower. Osogovo – “Shtalkovichka” River near village of Shtalkovica, 13.04.2024. Photo by Trajche Dimitrovski.Euonymus verrucosus – flower. Osogovo – “Shtalkovichka” River near village of Shtalkovica, 13.04.2024. Photo by Trajche Dimitrovski.Euonymus verrucosus – flower. Osogovo – “Shtalkovichka” River near village of Shtalkovica, 13.04.2024. Photo by Trajche Dimitrovski.Euonymus verrucosus – flower. Osogovo – “Shtalkovichka” River near village of Shtalkovica, 13.04.2024. Photo by Trajche Dimitrovski.Euonymus verrucosus – flower. Osogovo – “Shtalkovichka” River near village of Shtalkovica, 13.04.2024. Photo by Trajche Dimitrovski.Euonymus verrucosus – calyx of flower. Osogovo – “Shtalkovichka” River near village of Shtalkovica, 13.04.2024. Photo by Trajche Dimitrovski.Euonymus verrucosus – calyx of flower. Osogovo – “Shtalkovichka” River near village of Shtalkovica, 13.04.2024. Photo by Trajche Dimitrovski.Euonymus verrucosus – calyx of flower. Osogovo – “Shtalkovichka” River near village of Shtalkovica, 13.04.2024. Photo by Trajche Dimitrovski.Euonymus verrucosus – twigs with leaves. Osogovo – “Shtalkovichka” River near village of Shtalkovica, 13.04.2024. Photo by Trajche Dimitrovski.Euonymus verrucosus – twigs with leaves. Osogovo – “Shtalkovichka” River near village of Shtalkovica, 13.04.2024. Photo by Trajche Dimitrovski.Euonymus verrucosus – leaves. Osogovo – “Shtalkovichka” River near village of Shtalkovica, 13.04.2024. Photo by Trajche Dimitrovski.Euonymus verrucosus – leaves. Osogovo – “Shtalkovichka” River near village of Shtalkovica, 13.04.2024. Photo by Trajche Dimitrovski.Euonymus verrucosus – leaves. Osogovo – “Shtalkovichka” River near village of Shtalkovica, 13.04.2024. Photo by Trajche Dimitrovski.Euonymus verrucosus – abaxial side of leaves. Osogovo – “Shtalkovichka” River near village of Shtalkovica, 13.04.2024. Photo by Trajche Dimitrovski.Euonymus verrucosus – abaxial side of leaves. Osogovo – “Shtalkovichka” River near village of Shtalkovica, 13.04.2024. Photo by Trajche Dimitrovski.Euonymus verrucosus – abaxial side of leaves. Osogovo – “Shtalkovichka” River near village of Shtalkovica, 13.04.2024. Photo by Trajche Dimitrovski.Euonymus verrucosus – twig stem. Osogovo – “Shtalkovichka” River near village of Shtalkovica, 13.04.2024. Photo by Trajche Dimitrovski.Euonymus verrucosus – twig steem. Osogovo – “Shtalkovichka” River near village of Shtalkovica, 13.04.2024. Photo by Trajche Dimitrovski.Euonymus verrucosus – branch with tubercles. Osogovo – “Shtalkovichka” River near village of Shtalkovica, 13.04.2024. Photo by Trajche Dimitrovski.Euonymus verrucosus – branch with tubercles. Osogovo – “Shtalkovichka” River near village of Shtalkovica, 13.04.2024. Photo by Trajche Dimitrovski.Euonymus verrucosus – branch with tubercles. Osogovo – “Shtalkovichka” River near village of Shtalkovica, 13.04.2024. Photo by Trajche Dimitrovski.Euonymus verrucosus – branch with tubercles. Osogovo – “Shtalkovichka” River near village of Shtalkovica, 13.04.2024. Photo by Trajche Dimitrovski.Euonymus verrucosus – old branch. Osogovo – “Shtalkovichka” River near village of Shtalkovica, 13.04.2024. Photo by Trajche Dimitrovski.Euonymus verrucosus – bark of old branch. Osogovo – “Shtalkovichka” River near village of Shtalkovica, 13.04.2024. Photo by Trajche Dimitrovski.Euonymus verrucosus – bark of old branch. Osogovo – “Shtalkovichka” River near village of Shtalkovica, 13.04.2024. Photo by Trajche Dimitrovski.Euonymus verrucosus – habit. Osogovo – rocky terrain between the villages of Shtalkovica and Ratkovica (“Ratkova skala” region), 08.05.2023. Photo by Trajche Dimitrovski.Euonymus verrucosus – habit. Osogovo – rocky terrain between the villages of Shtalkovica and Ratkovica (“Ratkova skala” region), 08.05.2023. Photo by Trajche Dimitrovski.Euonymus verrucosus – twigs. Osogovo – rocky terrain between the villages of Shtalkovica and Ratkovica (“Ratkova skala” region), 08.05.2023. Photo by Trajche Dimitrovski.Euonymus verrucosus – twigs. Osogovo – rocky terrain between the villages of Shtalkovica and Ratkovica (“Ratkova skala” region), 08.05.2023. Photo by Trajche Dimitrovski.Euonymus verrucosus – twigs. Osogovo – rocky terrain between the villages of Shtalkovica and Ratkovica (“Ratkova skala” region), 08.05.2023. Photo by Trajche Dimitrovski.Euonymus verrucosus – branch with tubercles. Osogovo – rocky terrain between the villages of Shtalkovica and Ratkovica (“Ratkova skala” region), 08.05.2023. Photo by Trajche Dimitrovski.Euonymus verrucosus – older branch. Osogovo – rocky terrain between the villages of Shtalkovica and Ratkovica (“Ratkova skala” region), 08.05.2023. Photo by Trajche Dimitrovski.
Evonymus L. Micevski, K. and Matevski, V. in Micevski, K. (2005). The Flora of the Republic of Macedonia Vol. I, Book 6. Macedonian Academy of Sciences and Arts, pp. 1666 – 1669.
Euonymus L. Tutin, T.G. in Tutin, T.G., Heywood, V.H., Burges, N.A., Moore, D.M., Valentine, D.H., Walters, S.M., & Webb, D.A. (1968). Flora Europaea. Volume 2. Rosaceae to Umbelliferae. Cambridge: Cambridge University Press, p. 242.